Tag: Reef Rescuers
-

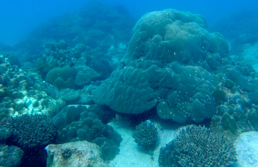
2016 coral-bleaching event: One year later…
Spreading from the western Pacific, the lethal heat wave associated to the 2015/17 El Niño hit the western Indian Ocean around February 2016. Here in the Seychelles, the water temperature averaged 30°C for four consecutive months, peaking over 31°C on some days!
-

Albatross and the rough seas
Nature Seychelles’ Reef Rescuers team was recently invited to collaborate with the Island Resort Six Senses Zil Pasyon and conduct a feasibility assessment. The main objective of this survey was to see if we could implement a Coral Garden Project within the Marine Protected Area (MPA) of Félicité Island.
-

Eager to get back to our coral babies
It can be difficult to tear oneself away from infants for an extended period of time, but the much needed R&R from their constant daily demands can make the homecoming gratifying. Nature Seychelles’ Reef Rescuers team Louise Malaisé and Austin Laing-Herbert had to temporarily leave their underwater coral family to spend time with their real…
-

Climate-ravaged corals recover poorly: study
AFP, 25th Jan 2017: Coral reefs that survive rapid bleaching fuelled by global warming remain deeply damaged, with little prospect of full recovery, researchers said Wednesday.
-

Volunteering under the sea
A Report from Nature Seychelles’ International Volunteer Program I arrived on Praslin and was met by two volunteers who showed me to the dorms at Nature Seychelles’ Island Conservation Centre and who helped me settle in. I then met Nature Seychelles’ Reef Rescuers team the next day – Louise and Austin.
-

Getting rid of the Sharp and Slimey
Doing population controls of coral predators to assist recovery on reefs impacted by the 2016 mass coral bleaching event. A total of 790 corallivore snails (Drupella spp.) were removed from the Reef Rescuers transplanted site in Cousin Island Special reserve. Another 28 corallivore starfishes (Crown-of-Thorns) were injected with lethal doses of vinegar on the resilient…
-

Happily growing super corals
Good news for the reefs of Seychelles! Over 1,000 super coral nubbins are happily growing in the Reef Rescuer coral nursery.
-

Some pretty tough corals!
After the devastating effects of the recent bleaching event on our coral reefs, the time has come to look for survivors and get on the road of recovery.
-

The status of coral reefs after the recent bleaching event
After two underwater heat waves in 1998 and 2010, El Niño has once again struck coral reefs worldwide, triggering the third global coral bleaching event in recorded history.

